TOMBSTONE INSCRIPTIONS FROM BLACK CEMETERIES
IN CARROLL COUNTY, TENNESSEE

Compiled by Jonathan K. T. Smith
Copyright, Jonathan K. T. Smith, 2000

(Page 23)

SECTION II

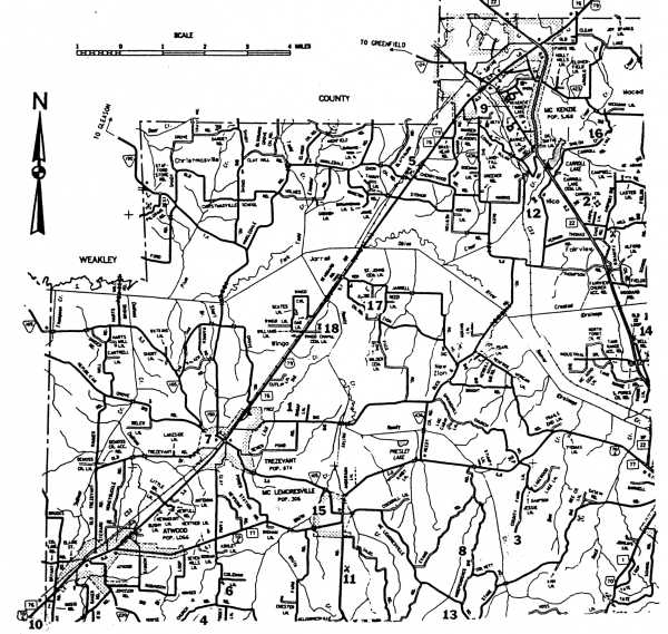
Click here for a larger image. Download will be slow for dial up Internet access.

1. ADKISSON
2. CARROLL CO. MEM. GARDENS
3. CARROLL CO. POOR FARM
4. CLARK
5. ENON

6. GREER
7. MT. ARARAT
8. MT. OLIVE
9. MT. OLIVET
10. NEW HOPE II
11. NEW REEDY CREEK
12. HICO/OLD HICO

13. PRICE
14. RANSOM
15. REEDY CREEK
16. SHILOH MEM. GARDENS
17. ST. JOHN'S
18. WINGO CHAPEL

 

Return to Contents